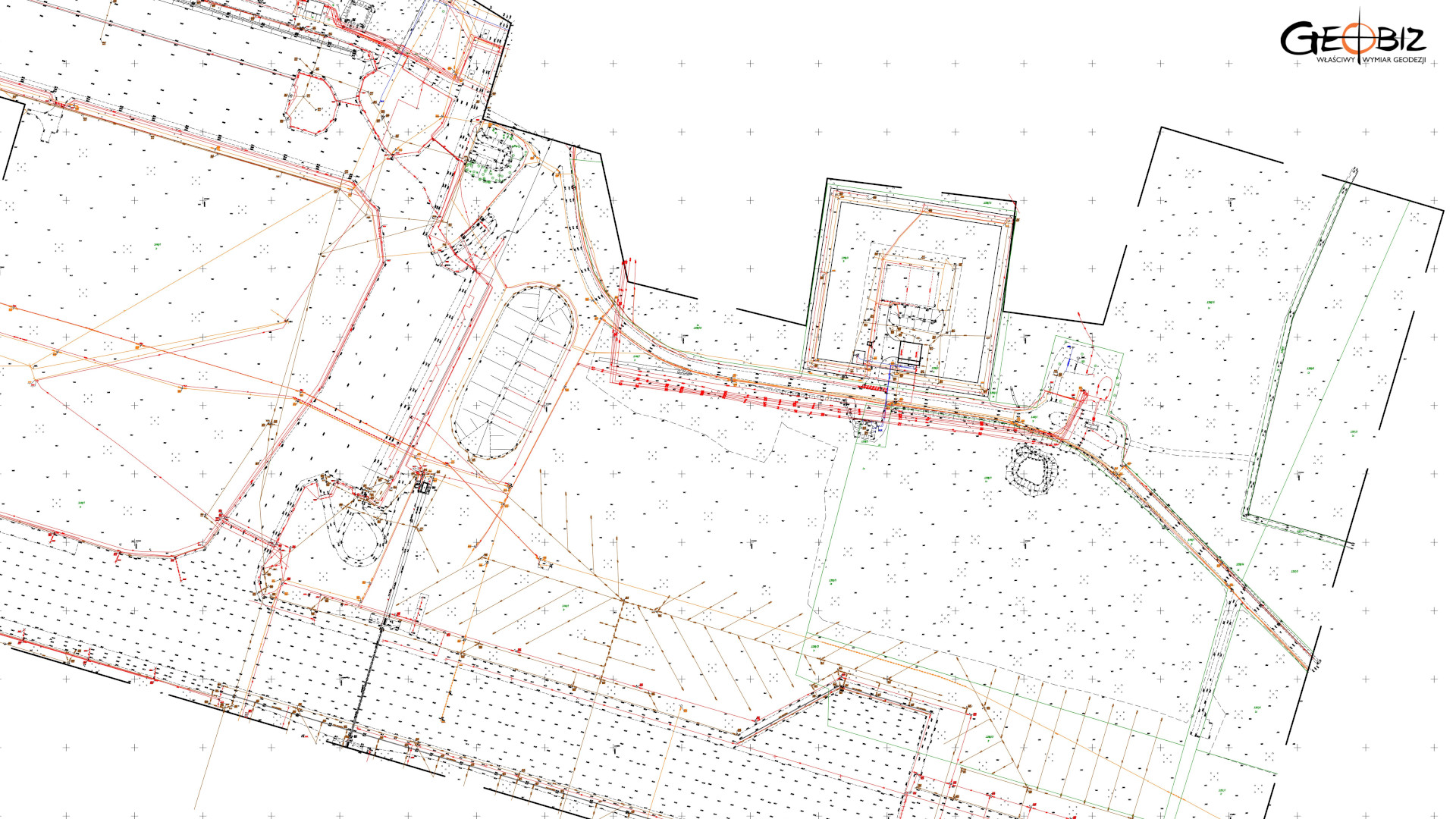
MAPA GEODEZYJNA
Wykonaliśmy wyjątkowo szczegółowe opracowanie do celów projektowych. Rzadko zdarza się Klient który ma tak sprecyzowane i szerokie oczekiwania. Podstawowym produktem była oczywiście mapa geodezyjna w formacie cyfrowym dwg. Elementami uzupełaniającymi były ortofotomapa wykonana na podsatwie zdjęć pozyskanych bezzałogowcem, numeryczny model terenu w pliku LandXML oraz zdjecia infrastruktury technicznej. Przeczesaliśmy również teren wykrywaczami urządzeń podziemnych, odkopaliśmy mnóstwo przewodów które pomierzone trafiły na mapy do celów projektowych.
Usługi z zakresu Geodezja - oferta
MAPY DO CELÓW PROJEKTOWYCH
Wykonujemy mapy wektorowe w formacie .dxf lub .dwg w technologii 3D.
GEODEZYJNA OBSŁUGA BUDOWY
Od opracowania projektu, przez tyczenie realizacyjne do pomiarów i map powykonawczych.
Inwentaryzacja powykonawcza
Geodezyjna dokumentacja niezbędna do odbioru i zakończenia budowy.
Wznowienie i ustalenie granic
Wskazanie w terenie za pomocą znaków granicznych zasięgu prawa własności.
Podział nieruchomości gruntowych
Procedury łączenia i podziału działek w zależności od potrzeb inwestycyjnych.
TYCZENIE REALIZACYJNE
Precyzyjne wyznaczanie w terenie założeń projektowych.
Zaświadczenia o samodzielności lokali
Zaświadczenia o samodzielności lokali Poznań
Mapy geodezyjne do celów projektowych Wrocław
Realizujemy profesjonalne opracowania geodezyjne
KONTAKT
Zachęcamy do przesłania zapytania, przygotujemy dla państwa indywidualną ofertę.