Using our own Trimble UX5 unmanned aerial vehicle (UAV) and photogrammetric lab, we carry out all products derived from aerial imagery. This includes orthophotos with a resolution of up to 2.4 cm GSD, through to photo reports – rapid inventories of construction progress, volume calculations – even for objects that are difficult to access using traditional measurement methods.

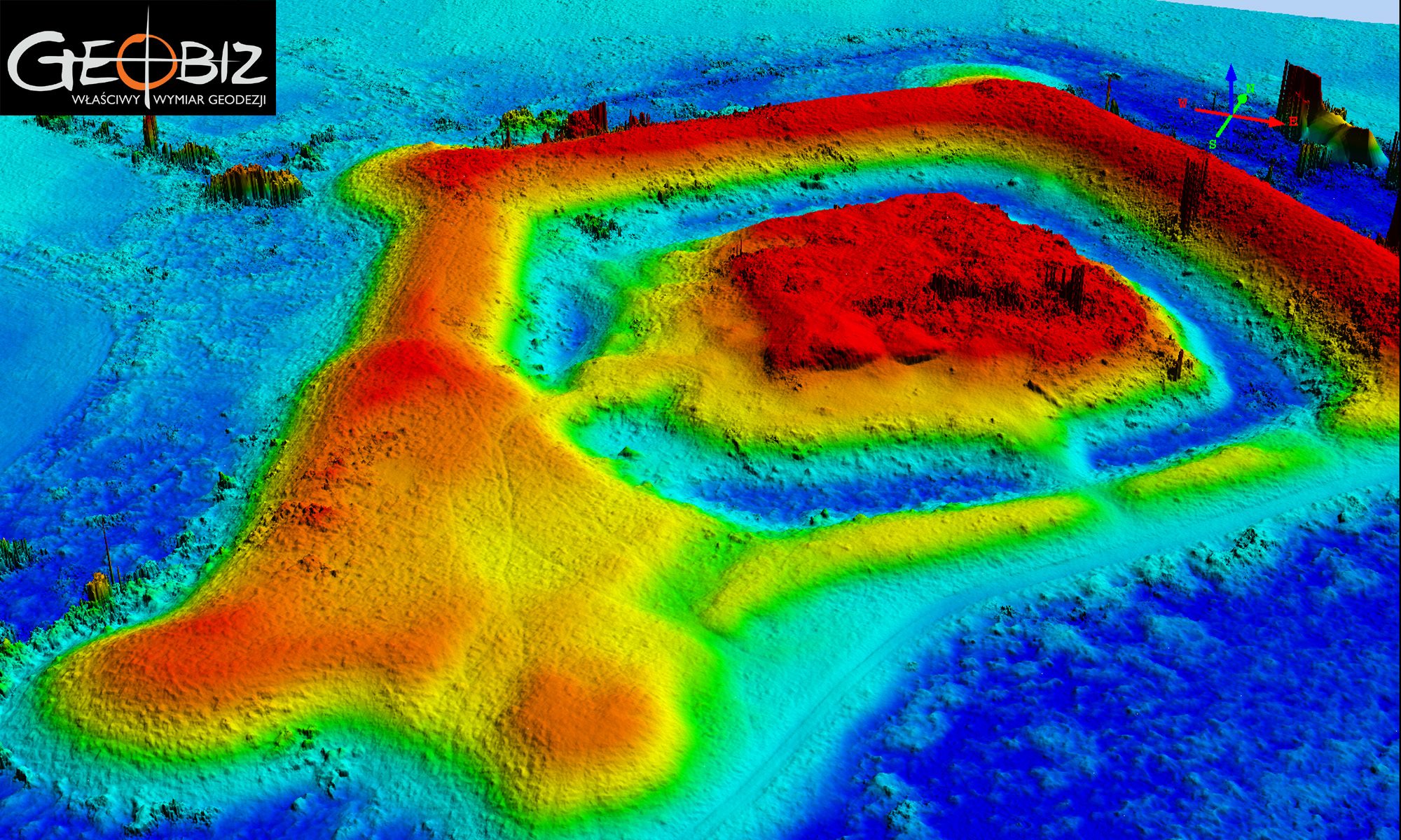
ARCHAEOLOGY - SZADZKO

More

INVENTORY OF WORK PROGRESS

Based on the photos taken by the TRIMBLE UX5 drone, we conducted an inventory of the construction site.

More

CONTACT

We encourage you to send an inquiry, and we will prepare a personalized offer for you.

This site uses cookies (cookies) that can work our service Better.